戸建住宅の確認申請図面作成を承ります 最短3日で納品します!一度ご相談ください イメージ1
戸建住宅の確認申請図面作成を承ります 最短3日で納品します!一度ご相談ください イメージ2
戸建住宅の確認申請図面作成を承ります 最短3日で納品します!一度ご相談ください イメージ3
1/3

戸建住宅の確認申請図面作成を承ります

最短3日で納品します!一度ご相談ください

評価
-
販売実績
1
残り
3枠 / お願い中:0
提供形式
ビデオチャット打ち合わせ可能
商用利用
著作権譲渡
印刷・配送
無料修正回数
1回
ラフ提案数
ラフ提案なし
お届け日数
14日(予定)
用途
業種
ファイル形式
PDF / JWW

サービス内容

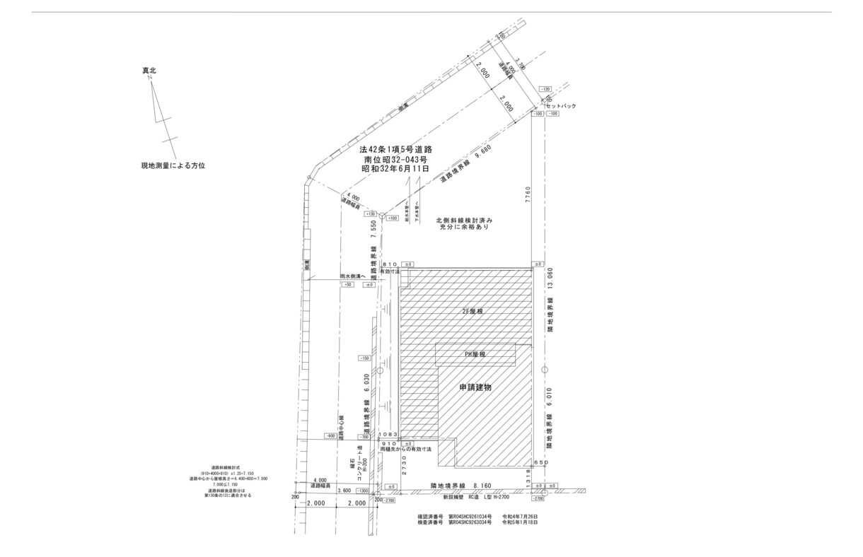
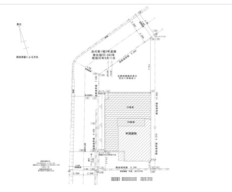
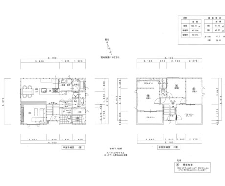
建築確認申請に必要な図面一式を、Jw_cadデータで納品いたします。 申請業務や省エネ適判はご自身でお願いしておりますが、図面作成に関するお悩みはお任せください! ◆ 図面一式 ◆ ✅ 位置図 ✅ 仕上表 ✅ 敷地図 ✅ 配置図 ✅ 求積図 ✅ 平面図 ✅ 立面図 ✅ 断面図 ✅ 採光・換気図 上記以外の図面が必要な場合は、追加費用にて対応可能な場合がございますのでご相談ください。 ◆ ご依頼の流れ ◆ ① 土地情報・ラフ図をご提供いただきます。 ② 作成開始後、2週間以内に納品いたします。 ③ 修正は1回まで無料で対応いたします。 「確認申請用の図面作成だけ依頼したい!」 という方に最適なサービスです。 迅速・丁寧に対応いたしますので、まずはお気軽にご相談ください!

購入にあたってのお願い

普段から設計業務、申請業務、監理業務を行っております 毎年10件以上は確認申請を行っておりますので お気軽にご相談ください!

有料オプション

55,000